Manuscripts
Map Showing Line of Redondo Railroad through Lands of Maria de los Dominguez
You might also be interested in
Image not available
Rancho San Pedro: S66 - Map showing the Calculation of 1000 acres
Manuscripts
Bound within document, "Rancho San Pedro, 1000 acres subsidy..." Colored ink; courses, distances, acreage, stations; showing parcel owners, Pacific Salt Works T.3-4 S.R.14 W.. Title supplied by cataloger.
mssSolano SR_Box_24(06).03

Rancho San Pedro : S66 - sketch map
Manuscripts
Bound within document, verso of p. 14: "Rancho San Pedro, 1000 acres subsidy..." showing courses & distances. Title supplied by cataloger.
mssSolano SR_Box_24(06).08
Image not available
Rancho San Pedro: S66 - 100 acres subsidy
Manuscripts
Bound within document, "Rancho San Pedro, 1000 acres subsidy..." Showing courses, distances; calculations, survey notes, description. Title supplied by cataloger.
mssSolano SR_Box_24(06).05

Rancho San Pedro : S66 - Reyes: 100 acres subsidy*
Manuscripts
Bound within document, p. 14: "Rancho San Pedro, 1000 acres subsidy..." showing courses & distances; red pencil. Title supplied by cataloger.
mssSolano SR_Box_24(06).07

Rancho San Pedro : S66 - Domínguez partition parcels
Manuscripts
Bound within document, "Rancho San Pedro, 1000 acres subsidy..." Color highlighting; showing townships,section numbers, acreage, distances, parcel owners. Title supplied by cataloger.
mssSolano SR_Box_24(06).01

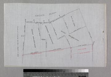
Rancho San Pedro : S66 - partition of 1000 acre parcel
Manuscripts
Bordered by Pacific Ocean Bound within document, "Rancho San Pedro, 1000 acres subsidy..." Showing parcel owners, courses, distances, acreage, stations. Title supplied by cataloger.
mssSolano SR_Box_24(06).02